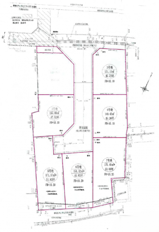
土地 岡山市北区西辛川5号地
所在地
岡山市北区西辛川5号地
1,374万円
51.84坪
月々の
支払例
支払例
万円
年
%
円
※山陰合同銀行/借入金1,374万円、返済期間35年、金利0.750%変動金利型)の場合
※審査により金利は変わる可能性があります。
物件概要
- 交通
-
吉備線 備前一宮駅 まで 徒歩6分
備北バス「五軒屋下」徒歩3分
- 接道状況
- 北側4m
- 土地面積
- 171.38㎡ (51.84坪)
- 建ぺい率
- 60%
- 容積率
- 200%
- 土地権利
- 所有権
- セットバック
- 無し
- 小学校区
- 中山 ( 1330m )
- 中学校区
- 中山 ( 530m )
- 私道負担
- 建築条件
- ー
- 地目
- 宅地
- 現況
- 更地
- 引渡時期
- 上水道
- 公共
- 下水道
- 浄化槽個別
- ガス
- プロパン個別
- 都市計画
- 市街化区域
- 用途地域
- 1種住居
- 設備・条件
- 更地渡し / 駅まで平坦 / 閑静な住宅地 / 前道6m以上 / 平坦地 / 開発分譲地内
- 備考
-
・水道加入金20mm:247,000円
・自治会年会費:4,400円
・境界ブロックフェンス負担金が別途要(価格は区画によります) - 取引態様
- 仲介

